Valor: Consulte!

Os imóveis anunciados poderão sofrer alterações de valores sem aviso prévio ou não estarem mais disponíveis.

 
Ampliar
Ampliar
Ampliar
Ampliar
Ampliar
Ampliar
Ampliar
 
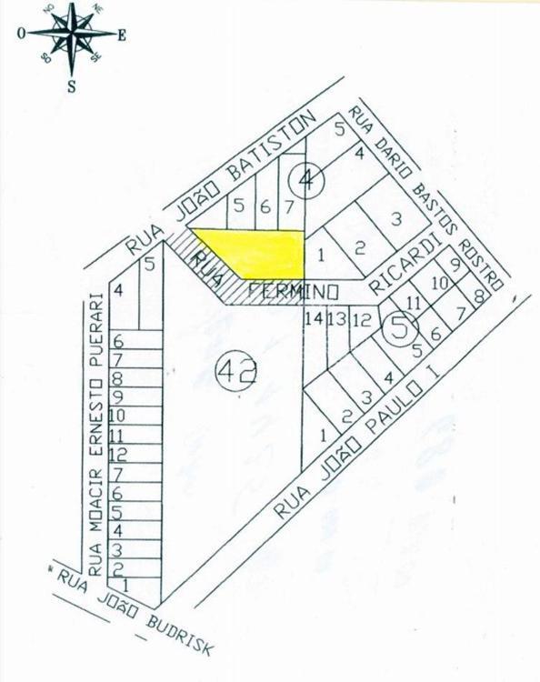
  • Área Total:1.420,00 m²
  • Posição: Frente Avenida

Área Total do Terreno 1.420,00m²

Frente: 32,50m / Fundos: 65,00m / Lateral Esquerda: 43,50m / Lateral Direita: 28,77m

  • Aclive
  • Rua sem Pavimentação

Um terreno grande de 1.420,00 m² podendo ser desmembrado em lotes menores.

  LOCALIZAÇÃO - TERENO

Ver Rua

IMÓVEIS SIMILARES

TERRENO

Cód: T088

José Bonifacio - Erechim / RS

Área Terreno

1.000,00 m²

Consulte!

Usamos cookies para personalizar e melhorar a sua experiência. Ao navegar neste site, você concorda com a nossa Política de Privacidade. Respeitamos sua privacidade e sigilo dos dados em conformidade legal.